$275,000
$275,000
For more information regarding the value of a property, please contact us for a free consultation.
3 Acres Lot
SOLD DATE : 10/10/2025
Key Details
Sold Price $275,000
Property Type Vacant Land
Sub Type Commercial
Listing Status Sold
Purchase Type For Sale
MLS Listing ID 2204744
Sold Date 10/10/25
HOA Fees $41/ann
HOA Y/N Yes
Lot Size 3.000 Acres
Acres 3.0
Property Sub-Type Commercial
Property Description
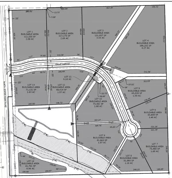
Commercial industrial zoned lots. 3 acres, 128.27' curb width, 1.87 acres/81,660 buildable square feet. 0.6 Miles to County Home Rd, 3 Miles to Tower Terrace Rd, 4.5 Miles to Boyson Rd. $500/year HOA fee for storm water detention maintenance, $500 start up fee. Utilities provided by Linn county REC, Alliant Energy, USA Communications. Applications for REDI (Robins Economic Development Initiative) Tax Abatement may be submitted with the letter of intent. C1 zoning/PLI (light industrial) allowed. FEMA elevation certificate attached. Please see section J of the REDIIOWA.OTG Urban -Revite Plan noting the Council SHALL approve applications, https://rediiowa.org/wp-content/uploads/2024/03/Urban-Revite-Plan-Robins-36-2023-v2.pdf
Location
State IA
County Linn
Area Hiawatha/Robins
Interior
Interior Features InteriorFeatures
Fireplace No
Exterior
Utilities Available Electricity Available, Natural Gas Available
Water Access Desc Public
Street Surface Paved
Building
Lot Description Level
Sewer Public Sewer
Water Public
Schools
Elementary Schools Alburnett
Middle Schools Alburnett
High Schools Alburnett
Others
Tax ID Lot 9 Eagle View Ct
Acceptable Financing Cash, Conventional
Membership Fee Required 500.0
Listing Terms Cash, Conventional
Read Less Info
Want to know what your home might be worth? Contact us for a FREE valuation!

Our team is ready to help you sell your home for the highest possible price ASAP
Bought with Cedar Rapids Area Association of REALTORS

"My job is to find and attract mastery-based agents to the office, protect the culture, and make sure everyone is happy! "






